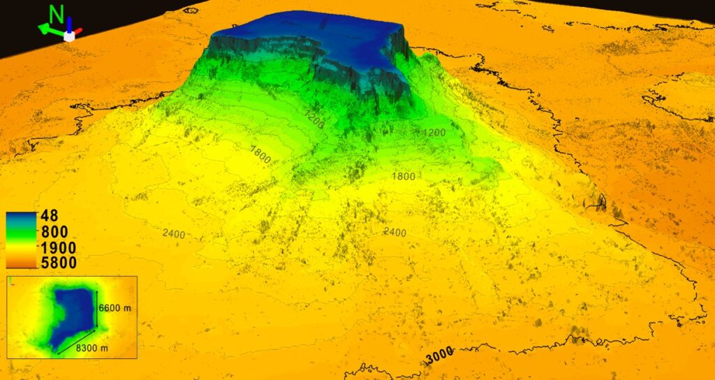
Near the eastern coast of Luzon, Philippines, located 50 meters below the sea surface, is Benham Bank, an underwater seamount taller than Mt. Apo. Benham Bank contains one of the richest mesophotic (or deep) coral ecosystems in the Philippines. One would not expect biodiversity to thrive here, considering the eastern coast of the Philippines is the most affected by typhoons, but a paper published in Coral Reefs last April titled “Benthic structuring of the mesophotic coral ecosystem on the Benham Bank seamount in the Philippines” reports that Benham Bank is pristine and full of potential.
“Seamounts, in general, are known for having high biodiversity and unique benthic (or seafloor) structures. Seamounts enhance ocean productivity and are considered biodiversity hotspots,” shared researcher Joey P. Cabasan. Their recent study revealed not only Benham Bank’s high biodiversity but also the pristine state of its reefscapes, with at least 11 scleractinian or hard coral genera of varying morphotypes, with 4 sites having excellent coral cover (~100%), 10 octocoral (or soft coral) genera, at least 4 genera of macroalgae (or seaweed), and some arborescent sponges.
The hard coral cover across the 50-80m depth range of Benham Bank was recorded at an overall mean of 30%, being substantially higher than other tropical mesophotic coral ecosystems (MCEs) on isolated seamounts and those closer to mainland Philippines.
Resilient to stress
Typically, live hard coral cover on mesophotic reefs is relatively poor, however, the Benham Bank is able to maintain high hard coral cover. “Benham Bank is in a way resilient to physical and thermal stress. There is stratification or layers with different water properties, which perhaps protected the Benham Bank from the effects of stress,” said Cabasan. Through stratification, the upper 40m layer creates a barrier that prevents mixing with the lower layers, thus providing protection.

“The water at Benham Bank is very clear. Since there are no major sources of nutrients like large rivers, nutrients and chlorophyll in the water column are low, and light is able to penetrate to greater depths. This allows the corals and algae to thrive there,” explains co-author Dr. Cesar Villanoy.
In addition to what was previously observed in an initial study by Nacorda et al, 2017, Cabasan shared that the area showed 8 probable habitat types in the mesophotic coral ecosystems at Benham Bank: 1) macroalgae-dominated, 2) octocoral-dominated, 3) hard coral-dominated (showing extensive cover of foliose plate-forming Porites), 4) hard coral and octocoral, 5) turf algae and hard coral, 6) turf algae-dominated, 7) rocky, and 8) sandy. Classifying the probable habitat types in the MCE at Benham Bank could be helpful for legislators in properly zoning the area and determining which parts may be designated for protection, fishing, and other uses.



3-day ship travel
The recent findings of the Benham Bank show that despite being a 3-day ship travel away from mainland Philippines, it is immensely beneficial and relevant to Filipinos. During their fieldwork, Cabasan saw traditional small-scale fishers from Infanta, Quezon, also working in the area, which the Philippine government designated as a “protected food supply exclusive zone” in May 2017. A 2014 survey found that despite its depth, Benham Bank hosts more than 60 reef-associated fish species: Large species of snappers, emperors, groupers, trevallies, and surgeonfishes; a high diversity of butterflyfishes (Chaetodontidae); and that majority of the fishes observed were mostly adults or large-sized individuals. The area also serves as an important breeding and nursery area for various tuna species and other fish.
Additionally, Benham Bank lies in a strategic location, which could help coral reef recovery in
other areas. “(The area) is affected by the North Equatorial Current, which potentially receives larvae from other Pacific islands,” Cabasan said. The north equatorial current flows towards the northeast coast of the Philippines and splits northwards to form the Kuroshio or the Japan Current and southwards as the Mindanao Current. This current could mean that coral populations are connected, making coral reef recovery a possibility in mesophotic reefs with poor live hard coral cover.

(Image courtesy of UP MSI)
Different specializations
The research team included different specializations, such as marine biologists, oceanographers and geologists, to make the most out of the challenging 3-day travel by ship to Benham Bank. Making it out to Benham Bank requires a lot of proper planning due to seasonal challenges such as monsoons, with at least 6 months of preparation, to allow for coordination with different institutions and government agencies.
Since researchers have only been able to study the Benham Bank area outside the monsoon season, many recommendations can be made for further studies, such as exploring the potential seasonal variation in stratification. A dedicated paper on the fish communities in the area can also provide a better picture of the ecological role Benham Bank plays. Connectivity studies about the area, tracing current patterns, and checking the potential sources and destinations of larvae may give insight into the recovery and interdependency of reefs in different areas. To continue to preserve the pristine state of Benham Bank, emerging threats in the area, whether natural or manmade, must be studied. These recommendations are essential for future research, considering only 5% of seamounts around the world are protected.
Cabasan’s key takeaways from this research highlight the Benham Bank as a diverse community of marine organisms, corals, and algae. This biodiversity emphasizes the need to be proactive towards continued research, especially since current studies serve as a baseline for understanding the area. As we face climate change, research will answer our questions about how Benham Bank’s unique environment may continue to thrive and what steps we must take to protect its potential. (Story courtesy of the University of the Philippines-Marine Science Institute Communications Team)
Top image shows map pinpointing Benham Bank (circled in red) situated to the east of Luzon
